Bought with JeanAnn Sukeena • Northrop Realty
For more information regarding the value of a property, please contact us for a free consultation.
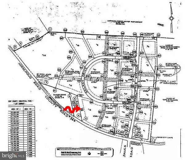
118 GALAXY DR Dover, DE 19901
Want to know what your home might be worth? Contact us for a FREE valuation!

Our team is ready to help you sell your home for the highest possible price ASAP
Key Details
Sold Price $315,000
Property Type Commercial
Sub Type Industrial
Listing Status Sold
Purchase Type For Sale
MLS Listing ID DEKT2035008
Sold Date 04/17/25
Annual Tax Amount $3,000
Tax Year 2024
Lot Size 6.450 Acres
Acres 6.45
Lot Dimensions 378 x 603
Property Sub-Type Industrial
Source BRIGHT
Property Description
The Independent Newsmedia Property is approximately 6.45 acres of vacant land zoned IPM, Industrial Park Manufacturing, in the City of Dover jurisdiction, and is ideal for storage and warehousing, manufacturing, office, or other non – residential use. The property is located on the east side of Galaxy Drive and the west side of Horsepond Road in the Kent County Aeropark industrial park adjacent to DAFB. There is total of 753 feet of frontage, with 378 +/- feet on Galaxy Drive, and 375 feet on Horsepond Road. The property has access to all major linkage routes including SR 1, U S Route 113, and DE Route 9. All central municipal utilities are available, including sanitary sewer, central water, and natural gas in front of the property. The property is mostly clear, with woods and wetlands in the northeast corner of the lot. The traffic count is 1,850 +/- AADT along Horsepond Road. The market area and immediate neighborhood is a developing industrial area, with warehousing and distribution uses on Horsepond Road and Lafferty Lane. There is a cell tower on the lot, but it is not included with the property, and has a perpetual easement.
Location
State DE
County Kent
Area Capital (30802)
Zoning IPM
Interior
Hot Water None
Heating None
Cooling None
Heat Source None
Exterior
Water Access N
Street Surface Black Top
Accessibility None
Road Frontage City/County
Garage N
Building
Lot Description Interior, Irregular, Level, Partly Wooded, Road Frontage
Sewer Public Hook/Up Avail
Water Public
New Construction N
Schools
High Schools Dover H.S.
School District Capital
Others
Tax ID ED-05-08700-01-0713-000
Ownership Fee Simple
Special Listing Condition Standard
Read Less

GET MORE INFORMATION
